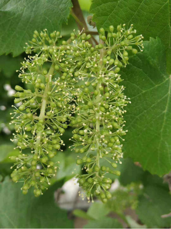
五月份露地葡萄开始进入花期、幼果期,主要病害:霜霉病、灰霉病、白腐病、白粉病、褐斑病、穗轴褐枯病、黑痘病等;主要虫害:蓟马、介壳虫、金龟子、绿盲蝽、蚜虫等。
葡萄花期是病虫害预防的一个关键期,为了不影响花期授粉坐果,一般不进行喷药管理;花蓟马对葡萄的危害主要是在花期和谢花后,喷药预防花前一定完成。
主要预防措施安排:
1.花前用药
主要防治灰霉病,穗轴褐枯病、黑痘病、花蓟马。于开花前1-2天,发现第1穗“信使花”开花时开始打药,建议选择持效期较长的药剂。预防灰霉病可选用异菌脲、嘧霉胺、啶酰菌胺等;花蓟马,花期隐性伤害,长大后成“麻皮果”可选用吡虫啉、噻虫嗪、氟啶虫胺腈等防治。
2.花后用药
在谢花后至套袋前,抓住3次打药机会
(1)花后第1遍
谢花80%以上时,应特别警惕灰霉病和生理落果,应密切关注天气预报,视情况加入40%嘧霉胺200毫升/400斤水预防;继续防治蓟马的危害以及黑豆病、穗轴褐枯病、早期霜霉病等。可选药剂吡唑醚菌酯+烯酰吗啉+异菌脲+苯醚甲环唑+吡虫啉+钙肥)。
(2)花后第2遍
葡萄黄豆粒大小时,即谢花后10-15天,蘸穗膨大,兼防治烂穗,可选用咪鲜胺+抑霉唑+烯酰吗啉·霜脲氰+功夫+适当钙肥),防止中后期的裂果。

(3)花后第3遍
为套袋做准备,彻底杀菌,主要预防白腐病、炭疽病、霜霉上果、房枯病,防止套袋后烂果。
市场上药剂种类多,一定要用好药,安全用药。此时期应结合园里病虫害发生情况及天气情况来决定用药次数。葡萄幼果对乳油类药剂比较敏感,建议不要用乳油类农药产品,以防引起药害产生花皮果。同时花后一周到两周进行葡萄补钙可以达到良好的效果。

